Mario Picazo advierte de que los súper ciclones aumentarán de categoría
El tiempo
El tiempo

Mario Picazo advierte de que los súper ciclones aumentarán de categoría

Y plantea una variación en la escala tradicional tras analizar los últimos datos.

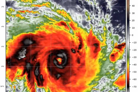
Imagen desde el radar del pasado ciclón FabiánMario Picazo (@picazomario)

Lo explican los meteorólogos. El problema del cambio climático no es (sólo) que haga más calor o que llueva menos. Es que incluso los fenómenos adversos se van a volver más y más violentos.

Pasa con las sequías, con las lluvias torrenciales, pero también con los ciclones, como ha recordado el meteorólogo Mario Picazo, de eltiempo.es y habitual rostro de numerosas televisiones.

En un mensaje publicado en su perfil de la red social X se pregunta si "necesitamos ya una categoría 6 para los súper ciclones del siglo XXI...". "Los expertos dicen que sí", añade, citando una publicación propia de eltiempo.es.

Como él mismo explica, hasta ahora se utiliza la escala Saffir-Simpson para medir las intensidades de los huracanes por las velocidades de sus vientos. Desarrollada en 1969 por el ingeniero civil Herb Saffir y el meteorólogo Bob Simpson, ha servido durante más de medio siglo como elemento de control y aviso para la población. 

Hasta ahora, la categoría más alta marca los vientos que superan los 252 kilómetros por hora, "un valor que se queda lejos de los 300 o más kilómetros por hora que se han registrado esta última década con algunos de los grandes huracanes o tifones", añade Picazo.

El meteorólogo y presentador explica que en un reciente estudio internacional ya se recomienda añadir esa categoría superior para poder dar un aviso meteorológico actualizado y detallado según la intensidad extrema de los ciclones.

"Introducir la categoría 6 reflejaría la llegada de un potente huracán con vientos sostenidos superiores a los 309 kilómetros por hora", prosigue. Detalla, no obstante, que no es una magnitud para nada habitual, pero sí que ya se han registrado algunos casos... y cada vez parecen notificarse con mayor frecuencia. 

Más de El tiempo