Un experto de la AEMET advierte de las consecuencias del huracán Debby en España
En EEUU ya están activando alertas y precauciones, pero sus efectos pueden condicionar mucho más allá.

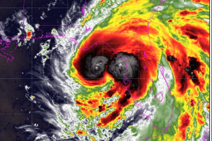
EEUU ya se prepara para los posibles efectos del huracán Debby, un fenómeno meteorológico que, de momento, puede condicionar lo que ocurra a muchos kilómetros.
Es el caso de España y alrededores, al menos en la opinión del meteorólogo superior del Estado y miembro de AEMET Juan Jesús González Alemán, que adelanta que Debby está "alterando las predicciones meteorológicas corriente abajo en el Atlántico".
Mientras en EEUU toman precauciones entre alertas por lo que pueda ocurrir, España afronta unos días de mucho calor, como corresponde a estas fechas, y tras salir de un par de fenómenos denominados oficialmente olas de calor.
La previsión hasta ahora mantenía los 'peores' presagios para agosto, en tanto que un mes de calor más fuerte de lo habitual y menos lluvias de lo común en este mes, ya de por sí bastante pocas.
No obstante, como apunta González Alemán, doctor en Física, "este aumento en la incertidumbre nos afecta". Por ello, considera "esperable" un cambio "notable de las salidas deterministas consecutivas hasta que los modelos resuelvan qué va a pasar con este huracán.
Esto es, que las predicciones que parecían dar verdades más o menos claras para las próximas fechas podrían no ser tan fiables "para nuestra región estos días".
