Dorian toca tierra en Bahamas con vientos de casi 300 km/h
El poderoso ciclón, de categoría 5, la máxima, ha llegado a Cayo Elbow, en las islas Ábaco.

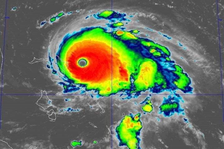
El ojo del poderoso huracán Dorian de categoría 5, la máxima en la escala Saffir-Simpson, tocó tierra este domingo en el Cayo Elbow, en las islas Ábaco del archipiélago de Bahamas, informó el Centro Nacional de Huracanes (NHC) de Estados Unidos.
En un boletín especial, el centro meteorológico con sede en Mami (Florida) señaló que Dorian ha tocado tierra a las 12.40 hora local (16.40 GMT) en el Cayo Elbow, en la parte nororiental de Bahamas, con vientos máximos sostenidos de 295 kilómetros por hora.
El NHC señaló este domingo que Dorian se ha convertido en “el más fuerte desde que se tienen registros modernos” que golpea este archipiélago caribeño, que espera recibir los azotes del huracán a lo largo de hoy.
A unos 10 kilómetros al este de la isla Gran Ábaco, Dorian se desplaza lentamente a 13 kilómetros por hora en dirección oeste, un patrón de movimiento que lleva a los meteorólogos a vaticinar que podría permanecer durante más de 24 horas en la parte septentrional de Bahamas, que se preparara para lo peor.
La marejada ciclónica “potencialmente mortal” elevará los niveles del mar hasta 7 metros sobre el normal de la marea en las islas Ábaco y Gran Bahama, cuyas costas recibirán “grandes y destructivas olas” durante “varias horas”, advierte el NHC.
Se prevén además acumulaciones de agua de lluvia que podrían alcanzar los 76 centímetros en zonas aisladas del noroeste de Bahamas.
Según el NHC, el huracán puede tornarse “casi estacionario” durante más de 24 horas en Bahamas, tras lo cual enfilará rumbo a Florida y el sureste de EEUU, donde se observa con atención el desarrollo de Dorian.
Tras dejar el archipiélago de Bahamas, los pronósticos mantienen que a partir del martes y antes de llegar al litoral estadounidense el ojo de Dorian virará en dirección noroeste e iniciará un recorrido por la costa de los estados de Georgia, Carolina del Sur y Carolina del Norte, mientras paulatinamente irá perdiendo algo de fuerza.
Aun así, este domingo las autoridades de Florida han emitido órdenes de evacuación obligatoria para partes de los sureños condados de Marion y Palm Beach, en ésta última incluido Mar-a-Lago, el club social y residencia de invierno del presidente de EEUU, Donald Trump.