El huracán Dorian azota las Bahamas y obliga a evacuar a más de 800.000 personas

El huracán Dorian azota las Bahamas y obliga a evacuar a más de 800.000 personas

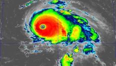
Las inundaciones han convertido las calles en ríos y las rachas de viento han alcanzado los 350 kilómetros por hora

El azote y la furia del huracán de categoría 5 Dorian que se encuentra sobre las Islas Ábaco ha causado una caída en las comunicaciones, cientos de viviendas destruidas, calles convertidas en auténticos ríos y tanto vehículos como casas sumergidos, así como falta de luz, mientras los escasos habitantes de Gran Bahama sienten también sus efectos.

Las autoridades estadounidenses advirtieron que incluso si su núcleo no tocara tierra en Estados Unidos, la tormenta podría golpear la costa con fuertes vientos y fuertes olas. El gobernador de Carolina del Sur Henry McMaster ordenó la evacuación obligatoria de toda la costa del estado. La orden, que abarca a unas 830.000 personas, entra en vigencia el lunes al mediodía.

Medios locales ofrecen testimonios dramáticos de habitantes de las Bahamas, donde Dorian tocó tierra este domingo en el Cayo Elbow, en las islas Ábaco del archipiélago atlántico.

Posteriormente tocó tierra, a las 14.00 hora local (seis horas por delante en la España peninsular), una segunda vez, cerca de Puerto Marsh, también en las islas Ábaco. Puerto Sandy y zonas del oeste de Nueva Providence se encuentran sin comunicaciones y muchas partes de la isla están a oscuras según informan medios locales.

En las imágenes difundidas por varios habitantes son visibles coches y casas de las que solo se ve el tejado sumergidos debido a las inundaciones que han convertido las calles en ríos, todo ello acompañado de vientos, en algunos momentos de entre 297 y 350 kilómetros por hora.

También hay postes de la luz y árboles arrancados y esparcidos por el viento, además de innumerables casas sin techo y pertenencias repartidas por los alrededores.

“No se puede distinguir el inicio de algunas calles con el del mar en muchas partes”, dijo este domingo el primer ministro bahameño, Hubert Minnis.

Cientos de personas se encuentran refugiadas en las 14 iglesias y escuelas habilitadas como refugios.

La directora general del Ministerio de Turismo y Aviación de Bahamas, Joy Jibrilu, dijo hoy que la situación en las Islas Ábaco es devastadora e indicó que no hay información sobre pérdidas de vidas pero sí de enormes daños materiales, mientras rescatistas piden rezar para que todo salga bien. En un mensaje a la población pidió calma e indicó que hay cuantiosos y grandes daños en las estructuras.

La Agencia Nacional de Manejo de Emergencias de Bahamas (NEMA) pidió, a su vez, rezar para que todo salga bien y advirtió a la población de que actualmente “están haciendo todo lo posible” para ayudar, a medida que pasa por el noroeste del archipiélago atlántico el huracán Dorian, de categoría 5.

Se trata del huracán más potente que haya pasado por las Bahamas y el de mayor categoría este año en el mundo.

“Nada como esto”

Por medio de su cuenta oficial en Twitter la NEMA también pidió que no se comparta o difunda información a través de las redes sociales de presuntas imágenes del paso del ciclón ya que podría no obedecer a la realidad y “llevar a la confusión” a la ciudadanía. Además solicitó que se intente mantener la calma y “ante todo recen para que todo salga bien”.

En una conferencia de prensa antes de la llegada del huracán, el primer ministro, quién se emocionó en varios momentos de la misma, afirmó que hoy era el peor día y el más triste de su vida. “Como médico he sido entrenado para aguantar muchas cosas, pero nada como esto”, dijo.

Los primeros testimonios ofrecidos por residentes de las islas Ábaco a medios locales son relatos de destrucción masiva de los edificios, así como de inundaciones.

Según el Centro Nacional de Huracanes (CNH) de Estados Unidos, el lunes y martes Dorian seguirá moviéndose hacia el oeste más lentamente que ahora y después hará un giro gradual hacia el noroeste.

“Se espera que Dorian siga siendo un huracán catastrófico durante los próximos días”, señala el NHC.

Los avisos y advertencias del NHC para la costa este de Florida abarcan una zona que tiene su punto más meridional en Deerfield Beach, a 67 km al norte de Miami.