Hermine, el peligroso huracán que pone fin a más de una década sin grandes ciclones en Florida

La mitad norte del estado de Florida (EEUU) se prepara para la llegada de Hermine, que ha pasado de tormenta tropical a huracán de categoría 1. El fenómeno avanza desde el Golfo de México con la amenaza de producir inundaciones, deslizamientos, marejadas e incluso tornados.
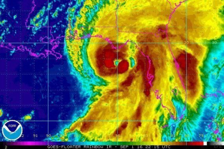
El Centro Nacional de Huracanes (CNH) ha alertado a la población de la amenaza de Hermine que presenta vientos máximos sostenidos de 75 millas por hora (120 kilómetros por hora) y se mueve hacia el norte-noroeste a 14 millas por hora (22 kilómetros por hora).
(Sigue leyendo después de la imagen)

El gobernador de Florida, Rick Scott, ha asegurado que Hermine representa un "peligro mortal" para los habitantes del norte del estado, a los que recordó que "llegó la hora" de prepararse, para lo que deben comprar agua para tres días y prever que el fluido eléctrico pueda dejar de funcionar.
El gobernador ha indicado que su máxima preocupación es la marejada, que podría inundar la región costera y atrapar a las personas en sus casas durante el paso del ciclón, momentos durante los que las autoridades no podrán "hacer nada" para ayudarles.
En los últimos once años ningún huracán ha tocado tierra en Florida, así que muchos floridanos han perdido la costumbre de estar preparados para estas amenazas que se producen en la cuenca del Atlántico generalmente en el periodo que abarca desde junio a noviembre.
(Sigue leyendo después de la imagen)

LAS ZONAS AFECTADAS
El patrón de trayectoria de Hermine muestra que cruzará transversalmente el norte de la península de Florida desde el oeste al este, por lo que también está en alerta la costa nororiental floridana, el vecino estado de Georgia, Carolina del Norte y del Sur.
Según el centro meteorológico, las áreas que van desde Duck, en Carolina del Norte, hasta Sandy Hook, en Nueva Jersey, así como de la bahía de Chesapeake hacia el sur (Virginia) y, por último, al sur de la bahía de Delaware (entre Nueva Jersey y Delaware) están bajo advertencia de tormenta tropical.
En Florida, cincuenta y un condados están en estado de emergencia por decisión del gobernador, quien desde Tallahassee, la capital del llamado Estado Soleado, dirige las operaciones para afrontar Hermine, que según los pronósticos tocará tierra en algún lugar entre Mexico Beach y St. Marks, en la región conocida como el Panhandle (el mango) floridano, en el noroeste.
El gobernador de Georgia, Nathan Deal, ha seguido el ejemplo de Scott y ha puesto en emergencia a 56 condados de su territorio. Las escuelas y otros centros educativos de la zona de Florida afectada por Hermine n¡permanecen cerrados.
La Guardia Nacional ha dispuesto un contingente de 100 soldados como parte de los preparativos para prestar ayuda a las áreas que resulten afectadas, y otros 6.000 estarán en condición de alerta, de acuerdo al Departamento de Defensa de EEUU.
La compañía Duke Energy Florida, por su parte, está preparando a más de 1.200 trabajadores en los estados de Florida, Carolina del Norte, Carolina del Sur, Tennessee y Kentucky para dar una respuesta rápida en caso de corte de suministro eléctrico.
En la costa noroeste de Florida, que recibirá el primer impacto, la mayor preocupación es protegerse de la subida del nivel del mar, que el NHC calcula que puede llegar a las 8 pulgadas (20 centímetros) por la combinación de una marejada ciclónica y la marea regular.
Esa subida, combinada con la lluvia, que en algunos sitios puede llegar a las 20 pulgadas (50,8 centímetros), puede producir inundaciones y deslizamientos de tierras.
Con ese fin se están distribuyendo gratuitamente en toda la zona sacos de arena a las personas que residen o tienen negocios cerca del mar, y en algunos lugares con la ayuda de reclusos de prisiones del área.
RECOMENDACIONES
La Guardia Costera ha establecido medidas especiales para los puertos de la costa del Golfo de México con el fin de proteger los barcos y las instalaciones portuarias.
La primera recomendación de los guardacostas es mantenerse alejado del agua y de las playas y la segunda dejarse evacuar sin dilaciones si las autoridades consideran que es necesario, según un comunicado.
El CNH, por su parte ha pedido a la gente que no se confíe en que la tormenta se ajustará a los patrones de trayectoria que trazan los meteorólogos, especialmente porque Hermine es "bastante asimétrica" y que se apresure en tomar las medidas de protección necesarias.
También ha recordado que existe un peligro real de daños para la vida humana a causa de las inundaciones que se pueden producir en un periodo de 12 a 24 horas en una amplia zona de la costa oeste de Florida, desde Aripeka a Paso Indio.
Los especialistas de CNH estiman, además, que se pueden producir tornados en el norte de Florida y sureste de Georgia.
Con el paso del ciclón, el riesgo de tornados se trasladará hacia el este y afectará a las Carolinas durante este viernes.




