El huracán Melissa toca tierra: todos los detalles para entender "la tormenta del siglo para Jamaica"
Antes de su llegada al país insular, el ciclón, el más poderoso de la temporada en el Atlántico, ha provocado la muerte de tres personas.

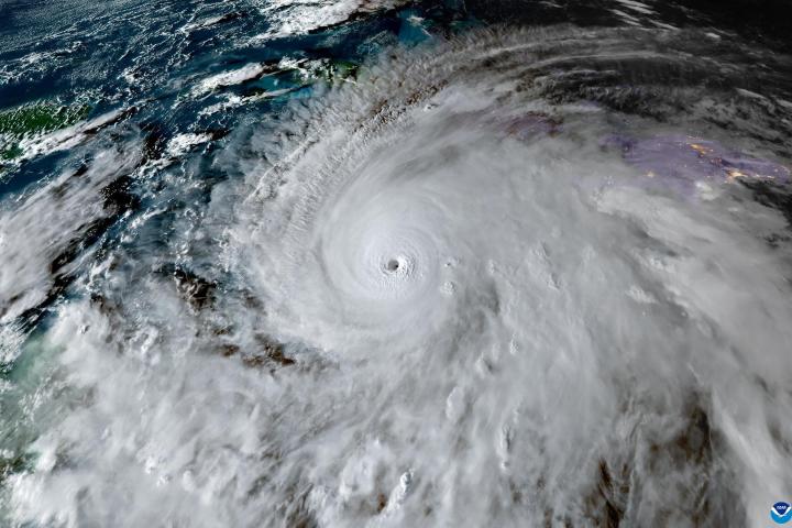
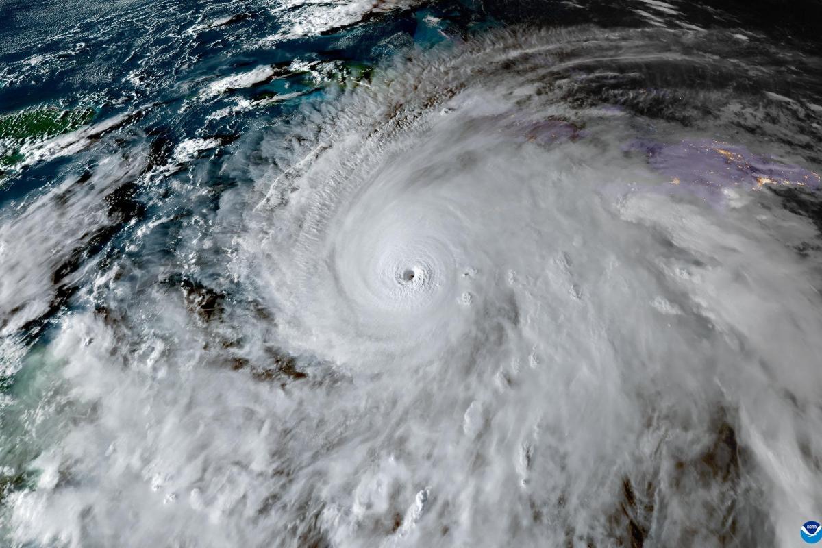
Jamaica contiene el aliento ante la llegada de Melissa. Este huracán, de categoría 5 (la más alta en la escala Saffir-Simpson), amenaza con convertirse en uno de los huracanes más devastadores de los últimos años, a raíz de los vientos máximos sostenidos de casi 300 kilómetros por hora con los que tocará tierra en Jamaica y las fuertes lluvias que lo acompañan. El temporal se ha convertido en el más potente de la temporada en el océano Atlántico.
Esta es la primera ocasión desde 2005 en la que se forman tres o más huracanes de máxima intensidad en el Atlántico. Aquel año observó cuatro ciclones de categoría 5, incluido el Katrina que arrasó el sur de Estados Unidos. Además, Melissa será el primer huracán que toque tierra en el Atlántico como categoría 5 desde 2019, cuando Dorian golpeó en Bahamas.
El Centro Nacional de Huracanes de Estados Unidos (NCH) califica el fenómeno meteorología como "potencialmente mortal". El organismo ha recomendado a la población que permanezcan en refugios o en lugares sin ventanas y que, para más seguridad, se cubran con colchones y se pongan cascos. "Para protegerse, pongan tantos muros como les sea posible entre ustedes y el exterior. Una habitación interior sin ventanas, especialmente una en la que puedan evitar la caída de árboles, es el lugar más seguro en el que pueden estar dentro de un edificio", ha alertado en redes sociales antes de recomendar, además, cubrirse con un colchón o ponerse un casco.
La menor presión, mayor rapidez de los vientos
Este huracán es también uno de los que presenta una de las presiones más bajas en su ojo en la historia reciente, con 892 milibares. A menor presión, la aceleración de los vientos es mayor, lo que eleva su velocidad y la intensidad del ciclón. En este caso, llegarán a los 300 kilómetros por hora. En comparación, el devastador Katrina, el huracán más costoso en la historia reciente de Estados Unidos, presentó una presión mínima en su centro de 902 milibares.
En lo relativo a las lluvias, el huracán Melissa está en camino de imponer récords por la extrema acumulación que se pronostica, especialmente debido a la lentitud de su desplazamiento. Los pronósticos del Centro Nacional de Huracanes (NHC, en inglés) estiman que el ciclón genere lluvias acumuladas de entre 38 y 76 centímetros (15 a 30 pulgadas) sobre la isla, con máximos de hasta 1 metros (40 pulgadas), lo que provocará inundaciones repentinas y deslizamientos de tierra generalizados.
Desde que se formó el martes de la semana pasada, Melissa ha provocado la muerte de al menos nueve personas: tres en Jamaica, tres en Haití, dos en Panamá y una en República Dominicana. Tras su paso por esta isla caribeña, se espera que Melissa cruce el sureste de Cuba el miércoles y llegue a las Bahamas el jueves.
¿Qué es la escala de vientos Saffir-Simpson?
Esta escala divide la fuerza de los huracanes de acuerdo a la velocidad de sus vientos, del 1 al 5, y sirve para determinar el posible nivel impacto de un huracán. Según la información recabada por el diario El País, todos los huracanes presentan una amenaza para la vida, pero aquellos de Categoría 3 o más son considerados como huracanes mayores.
- Categoría 1: 119–153 kilómetros por hora, vientos muy peligrosos que causarán algunos daños.
- Categoría 2: 154–177 kilómetros por hora, vientos extremadamente peligrosos que causarán daños extensos.
- Categoría 3: 178–208 kilómetros por hora, ocurrirán daños devastadores.
- Categoría 4: 209–251 kilómetros por hora, ocurrirán daños catastróficos.
- Categoría 5: 252 kilómetros por hora o más, es el tipo más mortífero.
