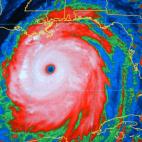
Alucina con el SINIESTRO retrato del huracán Matthew

Un satélite ha captado el verdadero "rostro" del terrible huracán Matthew, y la verdad es que el retrato le viene al pelo a esta tormenta de categoría 3. La imagen del huracán, que ya ha atravesado Haití y se dirige ahora hacia la costa este de Estados Unidos, ha sido compartida en Twitter por Stu Ostro, un meteorólogo de The Weather Channel.
En la imagen, los internautas han visto enseguida una imagen realmente espeluznante: la de un rostro, con su ojo rojo, sus dientes y una siniestra, muy siniestra sonrisa.
¿Da miedo, eh? El tuit, procedente de unos de los satélites de la NASA, muestra el momento en el que Matthew tocó tierra en Haití, donde provocó al menos cinco muertos, más de 14.000 desplazados y graves daños materiales.
Huracanes y tormentas
Sorprendente imagen de un gigantesco huracán en el Polo Norte de Saturno que tomó la sonda espacial Cassini de la NASA. La imagen fue mejorada con colores para su apreciación. El ojo del ciclón tiene 2.011 kilómetros (1.250 millas) de diám...
Imagen aérea tomada el 31 de octubre del 2012 que muestra el barrio de Breezy Point, en Nueva York, calcinado tras el paso del huracán Sandy. (Foto AP /Mark Lennihan, archivo)
Dos topadoras apilan los escombros causados por el huracán Sandy el martes, 6 de noviembre del 2012 en Wall, Nueva Jersey. (Foto AP/Mel Evans)
Foto del sábado 3 de noviembre del 2012 junto a un vehículo destrozado en el barrio neoyorquino de Rockaway por el huracán Sandy, que ha creado una carestía de automóviles de alquiler. (Foto AP/Kathy Willens)
En esta foto del 31 de octubre del 2012 las olas azotan la montaña rusa de un parque de diversiones de Seaside Heights, Nueva Jersey, a causa de la supertormenta Sandy. Aunque puede ser engañoso vincular un solo episodio meteorológico con el ...
Elia Olmedo, segunda empezando por la derecha, habla con su amiga Lucina Muñoz, a la izquierda, mientras sus hijas, Jaquelin Prado, de doce años, y Karin López, de seis, escuchan, frente a la casa de Olmedo en Staten Island, Nueva York. Image...
En esta imagen suministrada por la Agencia Nacional para el Océano y la Atmósfera de Estados Unidos tomada el domingo 15 de septiembre de 2013 a las 0645 GMT se muestra al huracán Ingrid en el Golfo de México aproximándose a la costa de Mé...
En esta foto del martes 18 de diciembre de 2012, el consultor político Michael Sciaraffo, disfrazado de Santa Claus, lleva juguetes a hogares afectados por el huracán Sandy en el barrio Bell Harbor de Nueva York. Los cambios climáticos que se...
En esta foto del 29 de noviembre de 2012, se aprecial las labores para retirar escombros dejados por la Supertormenta Sandy en el barrio neoyorquino de Queens. El miércoles 2 de enero de 2013, incluso sus colegas republicanos criticaron al líd...
Estado en que quedó una calle de Santiago tras el paso del huracán Sandy por Cuba el 26 de octubre del 2012. Seis meses después, y a un mes del inicio de la nueva temporada de huracanes, el oriente de la isla todavía siente las secuelas del ...
Residentes evacúan en una lancha en una foto de archivo del 30 de agosto del 2012 en una calle inundada de LaPlace, en el estado de Luisiana. a causa del huracán Isaac que azotó la región central de Luisiana. Los meteorólogos federales afir...
Foto de NOAA vía satélite del miércoles, 11 de septiembre del 2013 de la tormenta tropical Gabrielle cerca de Bermuda con vientos máximos sostenidos de 72 kph (45mph). El huracán Humberto aparece en el extremo oriental del Océano Atlántic...
En esta foto de archivo del 22 de febrero del 2013 se ven dos viviendas destruidas en la playa de Mantoloking, Nueva Jersey, por la supertormenta Sandy. El calentamiento global pudiera reducir las probabilidades de las inusuales corrientes atmos...
La playa de Coney Island, en el barrio neoyorquino de Brroklyn, en Nueva York, el jueves 23 de mayo del 2013, siete meses después de ser castigada por el huracán Sandy. (Foto AP/Mark Lennihan)
Raquel Rivera, a la izquierda, habla con su prometido Seth Muñoz Irizarryz, mientras su hija Marisol abre la nevera en la habitación del hotel Holiday Inn Express de Nueva York, el 25 de abril del 2013. Rivera perdió el apartamento en el que ...
Raquel Rivera habla con su hija Marisol el 25 de abril del 2013 en una habitación del hotel Holiday Inn Express de Manhattan, en Nueva York. Rivera perdió su apartamento de Brooklyn tras el paso del huracán Sandy el pasado octubre y vive en e...
ARCHIVO- La foto de archivo del 02 de noviembre de 2012 muestra a un trabajador recogiendo arena en una residencia en Longport, Nueva Jersey, tras el paso del huracán Sandy. Jornaleros inmigrantes lanzaron una campaña para distribuir materiale...
Buena parte del Bajo Manhattan quedó a oscuras tras el paso del devastador huracán Sandy, símbolo de un 2012 tormentoso en todos los terrenos, incluidos el político y el económico. Foto del 1ro de noviembre del 2012. (AP Photo/Craig Ruttle,...
María Raquel Sánchez, una inmigrante mexicana, que perdió su casa y su empleo debido al paso del huracán Sandy, espera su turno para hablar durante una conferencia de prensa el 18 de diciembre del 2012 en Staten Island, Nueva York. (Foto AP/...
Inmigrantes hablan durante una conferencia de prensa en Staten Island, Nueva York, el martes 18 de diciembre de 2012, para dar a conocer un informe que denuncia su situación de vulnerabilidad tras el paso del huracán Sandy. (Foto AP/Seth Wenig)
En esta foto del martes 18 de diciembre de 2012, el consultor político Michael Sciaraffo, disfrazado de Santa Claus, lleva juguetes a hogares afectados por el huracán Sandy en el barrio Bell Harbor de Nueva York. (AP Foto/Bebeto Matthews)
Foto del miércoles 17 de octubre del 2012 de unos grandes almacenes en Filadelfia. Los estadounidenses redujeron en octubre el gasto consumidor debido a los daños causados por el huracán Sandy. (Foto AP/Matt Rourkele)
Foto del lunes 15 de octubre del 2012 de dos operarias en la fábrica de ropa FesslerUSA en Orwigsburg, Pensilvania. El huracán Sandy redujo la producción industrial en septiembre en Estados Unidos, según la Reserva Federal en su informe del ...
Jornaleros llegan el jueves 8 de noviembre del 2012 a "la casita", un centro en Bensonhurst, Brooklyn, donde se organizaban y eran contratados. El huracán Sandy arrancó de cuajo "la casita", la trasladó varios metros al norte, y dañó sus pa...
