La increíble transformación de Surfers Paradise antes y después del ciclón Alfred

La increíble transformación de Surfers Paradise antes y después del ciclón Alfred

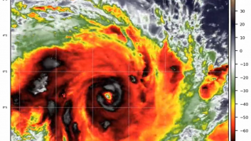
Un ciclón tropical se debilitó hasta convertirse en un sistema tropical de bajas presiones el sábado en su avance hacia Brisbane, la tercera ciudad más poblada de Australia, con lluvias torrenciales que se espera que azoten la región costera durante días. Se esperaba que el ciclón tropical Alfred fuera el primero en cruzar la costa este de Australia cerca de la capital del estado de Queensland desde 1974. Y ha podido dejar imágenes como las del vídeo cambiando por completo el paisaje de una de las playas más famosas de Australia.
El relato de un bombero en Libia donde se estiman hasta 20.000 muertos

El relato de un bombero en Libia donde se estiman hasta 20.000 muertos

El ciclón Daniel, que atravesó este domingo el noreste de Libia, ha sido "un desastre que supera las capacidades de Libia" tras dejar al menos 6.872 muertos (ya se estima en 20.000) y más de 10.000 desaparecidos a su paso según las cifras provisionales, declaró este miércoles el jefe del Consejo Presidencial, Mohamed al Manfi. "Esto es una montaña de escombros", ha explicado José Vicente Bolumar, bombero de la ONG valenciana Bombers Pel Mon. Los equipos de rescate se afanan en encontrar a personas con vida: "Es muy complicado, pero es lo que tenemos que hacer hasta las 72 horas después del evento. Siempre hay probabilidad, pero el nivel de destruccion es tan alto que es complicado".